Buenos Aires, 30 de octubre de 2018. El Banco Ciudad realizará la subasta de 2 terrenos que lindan con el Tiro Federal Argentino ubicado en Av. Del Libertador (S/N – esquina Udaondo) con una base de $4.762.000.000,00.- (*). El remate tendrá lugar el próximo Martes 20 de noviembre a las 11, en el Auditorio Santa María de los Buenos Ayres ubicado en la calle Esmeralda 660 3er Piso – CABA.
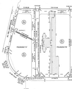
Los terrenos que serán subastados por cuenta y orden del Gobierno de la Ciudad de Buenos Aires a través del Banco Ciudad, están ubicados en Av. Del Libertador S/N – Esquina Udaondo – Nom. Catastral: Circ. 16, Secc. 27, Polígono A, manzana 146K I. El polígono está integrado por las manzanas 146 KY 146 I, y por polígono a incorporar a vía pública situado entre las citadas manzanas. Estos terrenos brindan la posibilidad de construir un total de 150.000 m2, y en altura hasta 100 mts.
La subasta anunciada en Boletín Oficial y a través de avisos en los principales medios de comunicación, ha generado gran expectativa entre los desarrolladores -tanto nacionales como internacionales-, por la ubicación y dimensiones de los terrenos, emplazados en un barrio con gran potencial para el desarrollo inmobiliario por su cercanía a importantes avenidas, grandes parques, autopistas, medios de transporte público, clubes sociales y deportivos, y centros comerciales y educativos. Entre los usos que podrán darse a estos terrenos, se destacan la construcción de viviendas, oficinas y proyectos hoteleros, entre otros.
Toda la información está disponible en el catálogo digital ( https://www.bancociudad.com.ar/institucional/subastas#/detalle_subasta/2092 ). Los interesados que quieran consultar acerca de esta subasta o visitar los terrenos pueden dirigirse a consultasubastas@bancociudad.com.ar; al (011)4329-8532, o de forma presencial en Esmeralda 660 – PB -, de lunes a viernes de 10 a 15 horas.
El Gobierno de la Ciudad de Buenos Aires, mediante el pliego detallado de las condiciones de venta de los terrenos, ha asegurado que el 65% de la superficie a rematar, se destine a uso público, con espacios verdes y calles que se abrirán una vez adjudicados los mismos. De acuerdo a la norma que regula esta operación, el dinero recaudado por la Ciudad será destinado a la construcción de un parque dentro de los terrenos, a la vez que también a la urbanización de las villas 31 y 31 bis y al desarrollo de obras de infraestructura, salud, educación y seguridad.
(*) Precio Base expresado en dólares estadounidenses resultante de la aplicación de la fórmula: Base de Subasta = (Tasación Oficial / Tipo de Cambio) * 1,0930754817
Forma de pago
Los pagos podrán efectivizarse mediante alguna de las siguientes formas: en efectivo, con cheque certificado, o mediante depósito bancario o transferencia bancaria electrónica. Los montos que se ingresen en concepto del precio resultante de la enajenación de los inmuebles en virtud de la subasta dispuesta por el artículo 1° del Decreto Nº 327/GCABA/18 serán ingresados en la Cuenta Corriente del Banco Ciudad que se notificará a tal efecto. Los pagos serán cancelados de conformidad con lo dispuesto por el artículo 7° de la Disposición N° 2018-130-DGABC.
Establécese que el adjudicatario de la subasta pública deberá abonar el pago del precio de venta de los inmuebles.
Opción 1:
- a) La suma equivalente al diez por ciento (10%) del precio de venta, la que deberá ser integrada dentro del plazo de catorce (14) días corridos posteriores a la celebración de la subasta;
- b) La suma equivalente al veintitrés con tres por ciento (23,3%) del precio de venta, la que deberá ser integrada dentro del plazo de cincuenta (50) días corridos posteriores a la celebración de la subasta;
- c) La suma equivalente al treinta y tres con tres por ciento (33,3%) del precio de venta, la que deberá ser integrada dentro del plazo de doce (12) meses corridos posteriores a la celebración de la subasta;
- d) La suma equivalente al saldo del precio de venta, la que deberá ser integrada dentro del plazo de veinticuatro (24) meses corridos posteriores a la celebración de la subasta.
Opción 2:
- a) La suma equivalente al diez por ciento (10%) del precio de venta, la que deberá ser integrada dentro del plazo de catorce (14) días corridos posteriores a la celebración de la subasta;
- b) La suma equivalente al cuarenta por ciento (40%) del precio de venta, la que deberá ser integrada dentro del plazo de cincuenta (50) días corridos posteriores a la celebración de la subasta;
- c) La suma equivalente al cincuenta por ciento (50%) del precio de venta más un pago adicional del cero con dos mil setecientos sesenta y nueve por ciento (0,2769%) sobre el valor de esta última cuota, la que deberá ser integrada dentro de los veinticuatro (24) meses de la celebración de la subasta.
Opción 3:
- a) La suma equivalente al diez por ciento (10%) del precio de venta ajustado por noventa y dos con setecientos trece millones trescientos treinta y tres mil seiscientos setenta y tres por ciento (92,713313673%), la que deberá ser integrada dentro del plazo de catorce (14) días corridos posteriores a la celebración de la subasta;
- b) La suma equivalente al noventa por ciento (90%) del precio de venta ajustado por noventa y dos con setecientos trece millones trescientos treinta y tres mil seiscientos setenta y tres por ciento (92,713313673%), la que deberá ser integrada dentro del plazo de cincuenta (50) días corridos posteriores a la celebración de la subasta;

